MLS® property information is provided under copyright© by the Victoria and Vancouver Island Real Estate Board. The information is from sources deemed reliable, but should not be relied upon without independent verification. This website must only be used by consumers for the purpose of locating and purchasing real estate.
The trademarks MLS®, Multiple Listing Service® and the associated logos are owned by CREA and identify the quality of services provided by real estate professionals who are members of CREA.
*Where indicated, "PREC" means Personal Real Estate Corporation.
© 2026 IslandSold.com - Vancouver Island Real Estate. All rights reserved.
This 4 bedroom, 5 bathroom single family is listed for sale at $2,290,000 in Metchosin, British Columbia. The property offers 4434.00 square feet of living space. Built in 1996. Lot size: 754,459 sq ft (17.32 acres).MLS® #980208.
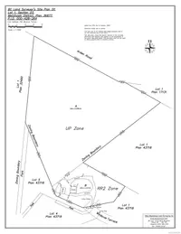
SUBDIVISION POTENTIAL & MASSIVE SHOP: Create a 5-acre parcel for the residence and a separate 12 acres of timbered land to keep or sell in the future, buyer to verify. Subdivision plan available! Nestled in the serene semi-rural charm of Metchosin, this gated estate is hidden among mature trees for exceptional privacy.
Inside the home, two fully renovated kitchens feature modern finishes and efficient workflow, while updated bathrooms and multiple fireplaces add comfort and style. For an easy in-law suite conversion, a private entrance, secondary kitchen, bathroom and laundry room occupy the home's south west corner. Highly practical, the detached triple garage doubles as a workshop, large enough for a professional vehicle lift.
Minutes from the beach, parks, golf, and shopping, this home offers a perfect balance of rural peace with suburban convenience. Experience privacy and natural beauty in vibrant Metchosin - your country estate is just a visit away.
Property features include: Dishwasher, Dryer, F/S/W/D, Microwave, Oven Built-In, Range Hood, Refrigerator, Washer.
Looking for homes for sale in Metchosin? Browse Metchosin real estate listings,residential properties, and Vancouver Island homes on IslandSold.com. Part of the Metchosin area.
Property Type
Single Family
Year Built
1996
Interior Size
4,434 sq ft
Lot Size
754,459 sq ft(17.32 acres)
Bedrooms
4
Bathrooms
5
Kitchens
Area
Metchosin
Neighborhood
Rocky Point
Listed
Nov 7, 2024
MLS® Number
#980208
View comprehensive market analysis for Windover Terr including recent sales, pricing trends, and days on market statistics. Compare this property with other homes on the same street to better understand the local market.
View Windover Terr Market ReportSUBDIVISION POTENTIAL & MASSIVE SHOP: Create a 5-acre parcel for the residence and a separate 12 acres of timbered land to keep or sell in the future, buyer to verify. Subdivision plan available! Nestled in the serene semi-rural charm of Metchosin, this gated estate is hidden among mature trees for exceptional privacy.
Inside the home, two fully renovated kitchens feature modern finishes and efficient workflow, while updated bathrooms and multiple fireplaces add comfort and style. For an easy in-law suite conversion, a private entrance, secondary kitchen, bathroom and laundry room occupy the home's south west corner. Highly practical, the detached triple garage doubles as a workshop, large enough for a professional vehicle lift.
Minutes from the beach, parks, golf, and shopping, this home offers a perfect balance of rural peace with suburban convenience. Experience privacy and natural beauty in vibrant Metchosin - your country estate is just a visit away.
Powered by Matterport

Dallas King
Personal Real Estate Corporation
RE/MAX Generation
Discover more properties and explore the Metchosin community, including the Rocky Point neighborhood.
Prepared Buyer Program
Qualified Prepared Buyers receive a Premium at closing on purchases at this price.
~$12,950
* Estimated. Actual Premium confirmed per transaction prior to your first offer.
Learn about the Prepared Buyer Program →Discover other great communities in the area
Explore the property location and surrounding area
MLS® Reciprocity listing
MLS® ReciprocityMetchosin, BC
6 bed · 5.0 bath · 5,291 sf · 83 days
Single Family
MLS® Reciprocity listing
MLS® ReciprocityMetchosin, BC
5 bed · 4.0 bath · 3,286 sf · 94 days
Single Family
MLS® Reciprocity listing
MLS® ReciprocityMLS® Reciprocity listing
MLS® ReciprocityMetchosin, BC
5 bed · 3.0 bath · 4,450 sf · 147 days
Single Family
MLS® Reciprocity listing
MLS® ReciprocityMLS® Reciprocity listing
MLS® ReciprocityMLS® Reciprocity listing
MLS® ReciprocityMLS® Reciprocity listing
MLS® ReciprocityMLS® Reciprocity listing
MLS® ReciprocityMLS® Reciprocity listing
MLS® ReciprocityMLS® Reciprocity listing
MLS® ReciprocityMLS® Reciprocity listing
MLS® Reciprocity
Saanich, BC
3 bed · 1.0 bath · 1,209 sf
Single Family Residence
Courtesy of Pemberton Holmes Ltd.
MLS® Reciprocity
Victoria, BC
1 bed · 1.0 bath · 564 sf
Condo Apartment
Courtesy of RE/MAX Generation - The Neal Estate Group
MLS® Reciprocity
Nanaimo, BC
3 bed · 3.0 bath · 1,928 sf
Single Family Residence
Courtesy of Sutton Group-West Coast Realty (Nan)
MLS® Reciprocity
Victoria, BC
1 bed · 1.0 bath · 740 sf
Condo Apartment
Courtesy of Macdonald Realty Victoria
MLS® Reciprocity
Courtenay, BC
3 bed · 1.0 bath · 1,335 sf
Single Family Residence
Courtesy of Royal LePage-Comox Valley (CV)
MLS® Reciprocity
Nanaimo, BC
6 bed · 4.0 bath · 2,695 sf
Single Family Residence
Courtesy of REMAX Professionals (NA)
MLS® Reciprocity